মনভোলানো ফুলের নেশায়

আকাশটা কালো করে মেঘেরা আসে। ঝমঝম বৃষ্টি নামে গাঁয়ে। প্রকৃতিতে সবুজের প্রলেপ বুলিয়ে দেয় বর্ষা। মাঠে, জঙ্গলে, বাগানে। আম-কাঠালের বনে শুধু নয়। শীত আর গ্রীষ্মের অত্যাচারে এতদিন পর্যদুস্তু হয়ে হয়ে ছিল নাম-পরিচয়হীন গুল্মলতারা। এখন তাদের মাথা উঁচু করে দাঁড়াবার সময়। ভাট-আশ্যাড়ার শরীরে আগেই বান ডেকেছে। কিন্তু কিছু গুল্মের বীজেরা মাটির গভীরে শুয়েছিল। অপেক্ষায় ছিল বর্ষার রিমঝিম শব্দের। এখন তারা খোলস ছেড়ে বেরিয়ে আসবে আলোকের আহবানে। দুটি লকলকে কচি পাতা মাটি ভেদ করে বেরিয়ে আসবে প্রবল বিক্রমে। তারপর কয়েকদিনের অপেক্ষামাত্র। দুটি-চারটি-ছয়টি করে চক্রবৃদ্ধি হারে বাড়াবে তার পাতার সংখ্যা। বাড়বে ডাল-পালা। সবুজে সবুজে ছয়লাব হয়ে যাবে আম-কাঠালের বন, ফসল ক্ষেতের বেড়া, নদী-খাল-বিলের কিনারগুলো। সবুজের সেই রাহাজানিতে যোগ দেবে আমাদের বনওকড়া। তারপর শীতের শেষ পর্যন্ত তাদের রাজত্ব।

শরৎ হেমন্তে শিউলি ফুলের জয়জয়কার। কিন্তু সে-তো কেবল বাড়ির উঠোনে। কিন্তু পথ চলতে, মেঠো পথের ধারে, জংলার আড়ালে কার রাজত্ব?
ছোট্ট একটা ফুল। সাদাটে গোলাপি, তার ওপর বিন্দু বিন্দু শিশির কণা। সকালের সোনারোদ যখন তার ওপর বিচ্ছুরিত হয়, অজস্র মনিমুক্তো নেমে আসে যেন বন পথের ধারে ধারে। হ্যাঁ পাঠক, এমনই সুন্দর এদেশের শরৎ ও হেমন্তের সকালগুলো। সেই সৌন্দর্য উপভোগ করতে হলে আপানাকে সকালের আলসেমিটা ছেড়ে বেরিয়ে পড়তে হবে মেঠোপথের দিকে।

থরে থরে গোলাপি-সাদার বন দেখতে পাবেন পথের দু-পাশে। শিশিরকণার ঝিলিক তার ওপর। আকন্দ-আশশ্যাওড়ার আড়ালে সে সৌন্দর্য ফিকে হবার নয়।

কিন্তু বেশিক্ষণ ঘুরবেন না। খারাপ লাগবে। চোখের সামনে যদি অপার্থিব সৌন্দর্যের অধঃপতন দেখেন, ভাল লাগার কথা নয়।

শিশির কণা শুকোবার সাথে সাথে, রোদের তেজ যত বাড়বে বনওকড়ার দুত্যি তত ম্লান হবে। ঝিমিয়ে পড়বে আপনার চোখের সামনেই। তাই এই সৌন্দর্য দেখতে হলে বের হতে হবে খুব ভোরে।

বনওকড়া গুল্ম জাতীয় উদ্ভিদ। সারা বাংলাদেশ ও পশ্চিমবঙ্গের প্রায় সব জায়গায়, সব মাঠে, পথের দুপাশে, নদীর কিনারে, হাওড়-বাওড়ের কূলে এদের দেখতে পাওয়া যায়। যেখানেই পতিত জমি ও ঘেসো বাগান চোখে পড়ে সেখানেই পাবেন বন ওকড়ার দেখা। শক্তপোক্ত চেহারার এই গাছ, রোদ্র-ছায়া কিছুই মানে না। তাই বড় বাগানেও এদের বেড়ে উঠতে মানা নেই।

যেকোনও গুল্ম-লতার সাথে পাল্লা দিয়ে এরা বেঁচে থাকতে পারে। তাই সারা দেশ এর এত বড়-বাড়ন্ত।

বনওকড়া গাছের একেবারে গোড়া থেকেই প্রচুর ডালপালা বের হয়। তাই এর ঝোপালো ভাবটা বেশ স্পষ্ট। একারণে সঠিক উচ্চতা আন্দাজ করা কঠিন। তবে মাটি থেকে ঝোপের মাথা পর্যন্ত তিনফুট পর্যন্ত উঁচু হতে পারে। কাণ্ড ধূসর সবুজ। গোড়ার দিকে কাণ্ড তিন-চার ইঞ্চি মোটা হতে পারে। কাণ্ড ও ডালপালা বেশ শক্ত।

ডালপালা গাঢ় সবুজ কিংবা বাদমী রংয়ের। বাকলের ভেতরে ডালের মূল কাঠামোটা সাদা রংয়ের, অনেকটা পাটখড়ির মতো দেখতে। তবে পাটখড়ির ভেতরটা ফাঁপা, কিন্তু বনওকড়ার কাণ্ড ও ডাল মোটামুটি নিরেট। তবে কাণ্ডের ঠিক মাঝখানে সবুজ জেলির মতো থকথকে এক ধরনের পদার্থ থাকে।

বনওকাড়ার পাতার রং সবুজ। পাতা বেশ বড় হয়। পূর্ণবয়স্ক মানুষের হাতের পাঞ্জার মাপের। আকৃতিতেও হাতের পাঞ্জার মতো। তবে পাতার ধরণ দুরকম। এরকম হলো মূল পাতা। এগুলো চারাগাছে দেখা যায়। পূর্ণাঙ্গ গাছের কাণ্ডের সাথে যে পাতাগুলো সরাসরি যুক্ত সেগুলো এবং ডালের গোড়ার দিকের পাতাগুলো মোটামুটি পাঞ্জাকৃতির। এদের পাঁচটি পত্রফলক থাকে। এই পাতার ব্যাস ৪-৫ ইঞ্চি।

কিন্তু ডালের আগার দিকে যেসব পাতা থাকে সেগুলো উপবৃত্তাকার। এদের পত্রফলক অনেকটাই অস্পষ্ট। এসব পাতা আকারেও ছোট। বোঁটার গোড়া থেকে পাতার শীর্ষ পর্যন্ত দৈর্ঘ্য ২.৫ থেকে ৩ ইঞ্চি। প্রস্থ দেড় থেকে দুই ইঞ্চি। পাতা পাতা সরল। একটা বোঁটায় একটাই পাতা থাকে। বোঁটার দৈর্ঘ্য সর্বোচ্চ আধা ইঞ্চি।
ডালের শেষ প্রান্তের প্রতিটা পাতার গোড়ায় একটা করে ফুল ফোটে।

পুষ্পমঞ্চরি এক পুষ্পক। ফুলের রং সাদাটে গোলাপি। দেখতে কিছুটা গোলাপি জবা ফুলের মতো। তবে আকারে খুব ছোট। ফুলের ব্যাস এ থেকে দেড় সেন্টিমিটার। পাঁচটি পাতলা পাপড়ি থাকে। পাপড়ির ঠিক মাঝখানে থাকে জবাফুলের মতো কেশর। ফুলের তুলনায় কেশর বেশ লম্বা। এক সেন্টিমিটার।

কেশরের গায়ে থাকে গাঢ় গোলাপি রঙের স্পষ্ট পরাগরেণু । এগুলোও জবাফুলের রেণুর মতো।

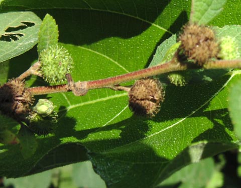
ছোটবেলায় বনওকড়ার ফল ছিল আমাদের বিশেষ আকর্ষণীয় বস্তু। কারণ বনওকড়ার ফলের গায়ে আংটাকৃতির শুঙ্গ আছে। কাঁচা অবস্থায় অবশ্য তার গুরত্ব নেই। কিন্তু পাকলে আসল মজা। মনের অজান্তে জঙ্গলের ভেতর হাঁটতে গিয়ে কতশতবার যে বনওকড়ার শুকনো ফল আটকে গেছে কাপড়ে-শরীরে! আমাদের খেলাঘরের দোকানে বনওকড়ার ফল বিক্রি করতাম মেয়েদের চুলের ক্লিপ হিসেবে। মেয়েরা কাঁঠালপাতার টাকা দিয়ে কিনে নিত বনওকড়ার ক্লিপ। তারপর চুলে লাগিয়ে সাজত। বনওকড়ার কাঁচা ফল সবুজ রংয়ের।

ফল গোলাকারও নয়, আবার চৌকোনাও বলা চলে না। এর মাঝামাঝি আকারের। ফল ছোট। ফলের ব্যাস বড়জোর এক সেন্টিমিটার। ফল চার চেম্বারে বিভক্ত।


প্রতিটা চেম্বারে ত্রিকোণাকার তিন চারটা বীজ থাকে।

একেকটা বীজ তিনটা সরিষাদানার সমান হবে। বীজ দ্বিবীজপত্রি।

শরতকালে বনওকড়া গাছে ফল আসা শুরু করে। শীতের মাঝামাঝি নাগাদ শেষ হয়। শীতের শেষ দিকে বনওকড়ার গাছ শুকিয়ে মারা যায়। বর্ষাকালে মাটিতে ঘুমিয়ে থাকা বীজ থেকে নতুন চারা গজায়।

বনওকড়ার বৈজ্ঞানিক নাম : Urena lobata.
কৃতজ্ঞতা : মামুনর রশদি, রাশেদ কারমি, আব্দুল্লাহ এম হোসনে মাসুদ, মোহম্মদ জয়নুল আবেদিন
আগের পর্ব : জোনাকি ফুল
মন্তব্য
চিনে যাচ্ছি আপনার সাথে। আমাদের দোকানেও সম্ভবত এই পসরা ছিল। আলাদা একটা নাম ছিল আমাদের ওদিকে বোধ হয়। কিন্তু মনে পড়ছে না। নাকি এ নামই ছিল? কে জানে?
স্বয়ম
দোকানেও পাওয়া যায়! জানতাম না ব্যপারাট।
----------------------------------------------------------------
বন পাহাড় আর সমুদ্র আমাকে হাতছানি দেয়
নিস্তব্ধ-গভীর রাতে এতোদূর থেকেও শুনি ইছামতীর মায়াডাক
খুঁজে ফিরি জিপসি বেদুইন আর সাঁওতালদের যাযাবর জীবন...
www.facebook.com/abdulgaffar.rony
আরে খেলার দোকান। মানে দোকান দোকান খেলা আর কি। আপনি যেমন স্মৃতি খুঁড়লেন, আমিও তেমন, কিন্তু খুঁড়ে আমার পরিচিত নামটা মনে করতে পারলাম না।
স্বয়ম
কৃতজ্ঞতায় কয়েকটা এ-কার আগে এসে গেছে
____________________________________
যাহারা তোমার বিষাইছে বায়ু, নিভাইছে তব আলো,
তুমি কি তাদের ক্ষমা করিয়াছ, তুমি কি বেসেছ ভালো?
দেখলাম। ঠিকও করে দিলাম। ধন্যবাদ সত্যানন্দ দা।
----------------------------------------------------------------
বন পাহাড় আর সমুদ্র আমাকে হাতছানি দেয়
নিস্তব্ধ-গভীর রাতে এতোদূর থেকেও শুনি ইছামতীর মায়াডাক
খুঁজে ফিরি জিপসি বেদুইন আর সাঁওতালদের যাযাবর জীবন...
www.facebook.com/abdulgaffar.rony
আপনি খুব কাজের লোক ভাই
মজিবুর রহমান
আসলে বিভূতিকেই টার্গেট করেছিলাম আশি। উনি আমার এলাকার লোক ছিলেন তো! তাই তাঁর উল্লেখ করা নামের সাথে আমাদের এলাকায় মুখে মুখে ফেরা নামগুলো মিলে যায়। তখন ভালো ক্যামেরা ছিলনা, আমার যেহেতু সেুযোগ আছে। তো কিরইনা কিছু কাজ!
----------------------------------------------------------------
বন পাহাড় আর সমুদ্র আমাকে হাতছানি দেয়
নিস্তব্ধ-গভীর রাতে এতোদূর থেকেও শুনি ইছামতীর মায়াডাক
খুঁজে ফিরি জিপসি বেদুইন আর সাঁওতালদের যাযাবর জীবন...
www.facebook.com/abdulgaffar.rony
ফুলটার বৈজ্ঞানিক নাম তো জানা হলো Urena lobata, এটা মালয়েশিয়ান শব্দ মনে হয়। অনেক আগে পড়েছিলাম কোথায় জানি। গোত্র, পরিবার এগুলো জানা থাকলে জুড়ে দিলে ভালো হয় কিন্তু।
কেশর, ফুলের ভিতরের কেশতুল্য সূক্ষ বস্তু/ সিংহ ঘোড়া প্রভৃতি প্রাণীর ঘাড়ের দীর্ঘ লোমরাজি
কিশোর, অপ্রাপ্ত বয়স্ক
গোত্র, পরিবার ইত্যাদি
বর্গ: Malvales
পরিবার: Malvaceae
উপপরিবার: Malvoideae
গোত্র: Hibisceae
গণ: Urena
প্রজাতি: U. lobata
--------------------------------------------------------
এক লহমা / আস্ত জীবন, / এক আঁচলে / ঢাকল ভুবন।
এক ফোঁটা জল / উথাল-পাতাল, / একটি চুমায় / অনন্ত কাল।।
এক লহমার... টুকিটাকি
ধন্যবাদ আয়নামতি ও লহমাদা। ঠিক করে দিলাম।
----------------------------------------------------------------
বন পাহাড় আর সমুদ্র আমাকে হাতছানি দেয়
নিস্তব্ধ-গভীর রাতে এতোদূর থেকেও শুনি ইছামতীর মায়াডাক
খুঁজে ফিরি জিপসি বেদুইন আর সাঁওতালদের যাযাবর জীবন...
www.facebook.com/abdulgaffar.rony
রনি, অবশ্যই সুন্দর ফুল নিয়ে সুন্দর লেখা।
একটা প্রশ্ন। Okra একটি ইংরেজি শব্দ। এটি বাংলায় বহুল পরিচিত ঢেঁড়স নামে। তাহলে এই উদ্ভিদটির নামে এমন অদ্ভুত ভাষা-মিশ্রণের কারণ জানা আছে কিছু? এর নাম বনঢেঁড়স বা বন-ঢেঁড়স কি বুনো ঢেঁড়স নয় কেন? বাংলা উইকিপিডিয়ার এই সংক্রান্ত পাতাটিতে (http://bn.wikipedia.org/wiki/বনওকড়া) এ ব্যাপারে শুধু নামোল্লেখ ছাড়া আর কিছু পাইনি।
--------------------------------------------------------
এক লহমা / আস্ত জীবন, / এক আঁচলে / ঢাকল ভুবন।
এক ফোঁটা জল / উথাল-পাতাল, / একটি চুমায় / অনন্ত কাল।।
এক লহমার... টুকিটাকি
এ বিষয়ে আমারও তেমন কিছু জানা নেই লহমাদা।
----------------------------------------------------------------
বন পাহাড় আর সমুদ্র আমাকে হাতছানি দেয়
নিস্তব্ধ-গভীর রাতে এতোদূর থেকেও শুনি ইছামতীর মায়াডাক
খুঁজে ফিরি জিপসি বেদুইন আর সাঁওতালদের যাযাবর জীবন...
www.facebook.com/abdulgaffar.rony
সুন্দর। আয়নাদিদি কিশোর বানানটার কথা বলেছে, যদি কষ্ট করে দূত্যি>দ্যুতিটা ঠিক করতেন!
দেবদ্যুতি
স্বর্গরশ্মির কথা কি ফেলতে পারি। যান ঠিক করে দিলাম।
----------------------------------------------------------------
বন পাহাড় আর সমুদ্র আমাকে হাতছানি দেয়
নিস্তব্ধ-গভীর রাতে এতোদূর থেকেও শুনি ইছামতীর মায়াডাক
খুঁজে ফিরি জিপসি বেদুইন আর সাঁওতালদের যাযাবর জীবন...
www.facebook.com/abdulgaffar.rony
স্বাভাবিক হতে গিয়ে যেন অভিজিৎ দা কে যেন ভুলে না যাই।
----------------------------------------------------------------
বন পাহাড় আর সমুদ্র আমাকে হাতছানি দেয়
নিস্তব্ধ-গভীর রাতে এতোদূর থেকেও শুনি ইছামতীর মায়াডাক
খুঁজে ফিরি জিপসি বেদুইন আর সাঁওতালদের যাযাবর জীবন...
www.facebook.com/abdulgaffar.rony
সব কিছু স্বাভাবিক হয়ে আসছে। সব কিছু স্বাভাবিক করতে ফুলের জুড়ি নেই। সুন্দর পোস্ট।
-----------------------------------
অন্ধ, আমি বৃষ্টি এলাম আলোয়
পথ হারালাম দূর্বাদলের পথে
পেরিয়ে এলাম স্মরণ-অতীত সেতু
আমি এখন রৌদ্র-ভবিষ্যতে
স্বাভাভিক হয়ে যেন অভিদা ভুলে না যায়!
----------------------------------------------------------------
বন পাহাড় আর সমুদ্র আমাকে হাতছানি দেয়
নিস্তব্ধ-গভীর রাতে এতোদূর থেকেও শুনি ইছামতীর মায়াডাক
খুঁজে ফিরি জিপসি বেদুইন আর সাঁওতালদের যাযাবর জীবন...
www.facebook.com/abdulgaffar.rony
রনি দা আপনার কল্যানে যেভাবে উদ্ভিদ চিনতে শুরু করেছি তাতে উদ্ভিদ বিজ্ঞানের কিছুটা নলেজ বাড়বে আমার । অভিনন্দন আপনাকে ।
------------
রাধাকান্ত
আপনাকেও ধন্যবাদ। আসলে উদ্ভিদ চেনাটা জরুরি। নইলে হারি গেলে “কোথা পাবো তারে” হবে।
----------------------------------------------------------------
বন পাহাড় আর সমুদ্র আমাকে হাতছানি দেয়
নিস্তব্ধ-গভীর রাতে এতোদূর থেকেও শুনি ইছামতীর মায়াডাক
খুঁজে ফিরি জিপসি বেদুইন আর সাঁওতালদের যাযাবর জীবন...
www.facebook.com/abdulgaffar.rony
ফুলটির নাম জানতাম না। জানলাম।লেখাটি ভালো লেগেছে।
ফুলটির নাম জানলাম। দেখেছি বহুবার ততটা খেয়াল করিনি। যতটা আপনার লিখায় করলাম।
ধন্যবাদ, ভাল থাকবেন।
----------------------------------------------------------------
বন পাহাড় আর সমুদ্র আমাকে হাতছানি দেয়
নিস্তব্ধ-গভীর রাতে এতোদূর থেকেও শুনি ইছামতীর মায়াডাক
খুঁজে ফিরি জিপসি বেদুইন আর সাঁওতালদের যাযাবর জীবন...
www.facebook.com/abdulgaffar.rony
নতুন মন্তব্য করুন